An application (20/00854/B) has been submitted that would see a car park at Archallagan plantation expanded.
The Department of Environment, Food and Agriculture has submitted the plans with planners for the south end of the plantation on Archallagan Road, Eairy, East Foxdale.
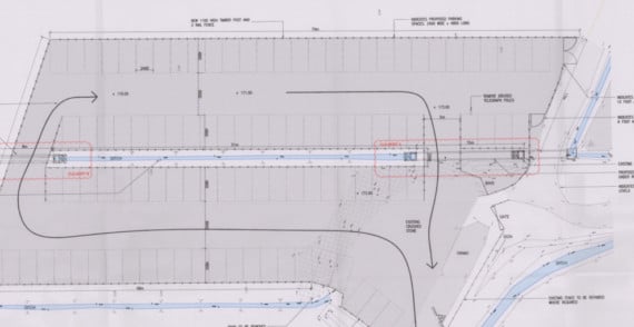
According to support documents, the existing three car parks at Archallagan, which is the island’s most visited plantation, are ’insufficient’ for the number of sporting and community events which are held there.
As well as walkers and those exercising their dogs, the plantation has proved popular with mountain bikers and horse riders using it on a regular basis.
In the DEFA’s application, deputy estates manager Oliver O’Meara says: ’Much of Archallagan’s growing popularity is due to recreational developments that have place over the past 10 years seeing the creation of a network of mountain bike trails, play arks, permanent orienteering course and nature trails.’
If given the green light by planners, the car park would be expanded to fit 100 cars.
Mr O’Meara said the DEFA chose this car park for expansion as it is the smallest but also the nearest to the main Foxdale Road and ’therefore the most convenient for drivers’.
He adds: ’Increased parking will alleviate some pressures on the other narrow boundary roads. For instance, the Eairy Kelly Road leading to car park three is single track with insufficient passing places.
’The residents of Eairy Kelly Cottage at the end of this road are frequently inconvenienced by traffic issues.
’The proposed car park expansion also fits with forest design plans which include harvesting of diseased larch in the area.’



.jpeg?width=209&height=140&crop=209:145,smart&quality=75)
Comments
This article has no comments yet. Be the first to leave a comment.